Home / Pemerintahan

Senin, 19 Januari 2026 - 14:18 WIB

Gagal Jadi Makelar Tanah, Pejabat Pemkot Kendari Diduga Sabotase Revisi Site Plan Martandu

Abdul Razak Said Ali (tengah) Kuasa hukum Muh Herianto, ahli waris dari HM Sugianto, mantan Direktur PT Surya Cipta Asri Cendana, perusahaan pengembang perumahan Griya Asri Cendana. (Foto: Fadli Aksar)

Abdul Razak Said Ali (tengah) Kuasa hukum Muh Herianto, ahli waris dari HM Sugianto, mantan Direktur PT Surya Cipta Asri Cendana, perusahaan pengembang perumahan Griya Asri Cendana. (Foto: Fadli Aksar)

kendarihariini.com/, KENDARI – Pejabat Pemerintah Kota (Pemkot) Kendari, Sulawesi Tenggara diduga melakukan sabotase denah site plan (tapak jejak) kawasan perumahan di Jl Martandu, Kelurahan Anduonohu.

Dugaan sabotase itu dilakukan karena gagal jadi makelar tanah. ASN Pemkot Kendari ini tak jadi makelar tanah setelah ditolak ahli waris karena menaikkan harga Rp 3,5 juta dari Rp 3 juta secara sepihak.

Padahal dalam nilai Rp 3 juta itu disepakati ASN itu mendapatkan fee sebesar 5 persen kepada ASN tersebut. Sehingga dinilai mendapatkan keuntungan berlipat secara pribadi.

Lahan kawasan perumahan itu merupakan milik Muh Herianto, ahli waris dari HM Sugianto yang dulunya Direktur PT Surya Cipta Asri Cendana, perusahaan pengembang Griya Asri Cendana.

Sebagai ahli waris, Muh Herianto telah mengajukan revisi site plan ke Dinas PUPR Kota Kendari. Denah revisi itu telah dikeluarkan namun tak kunjung disahkan karena diduga diintervensi oleh oknum pejabat Pemkot Kendari itu.

Kuasa Hukum Muh Herianto, Abdul Razak Said Ali menjelaskan, kliennya mengajukan revisi site plan perumahan Griya Asri Cendana mengubah peta yang dikeluarkan pada 1995 lalu, karena pembangunan tak bisa dilanjutkan.

Dalam denah site plan awal itu, terdapat jalan yang menghubungkan akses Jalan Martandu dengan Griya Asri Cendana yang rencananya akan dibangun perumahan.

Namun, setelah HM Sugianto wafat, rencana pembangunan tidak bisa diwujudkan dan rencana jalan itu tak dapat difungsikan bahkan ditutup karena ahli waris tak punya kemampuan untuk melanjutkan pembangunan perumahan.

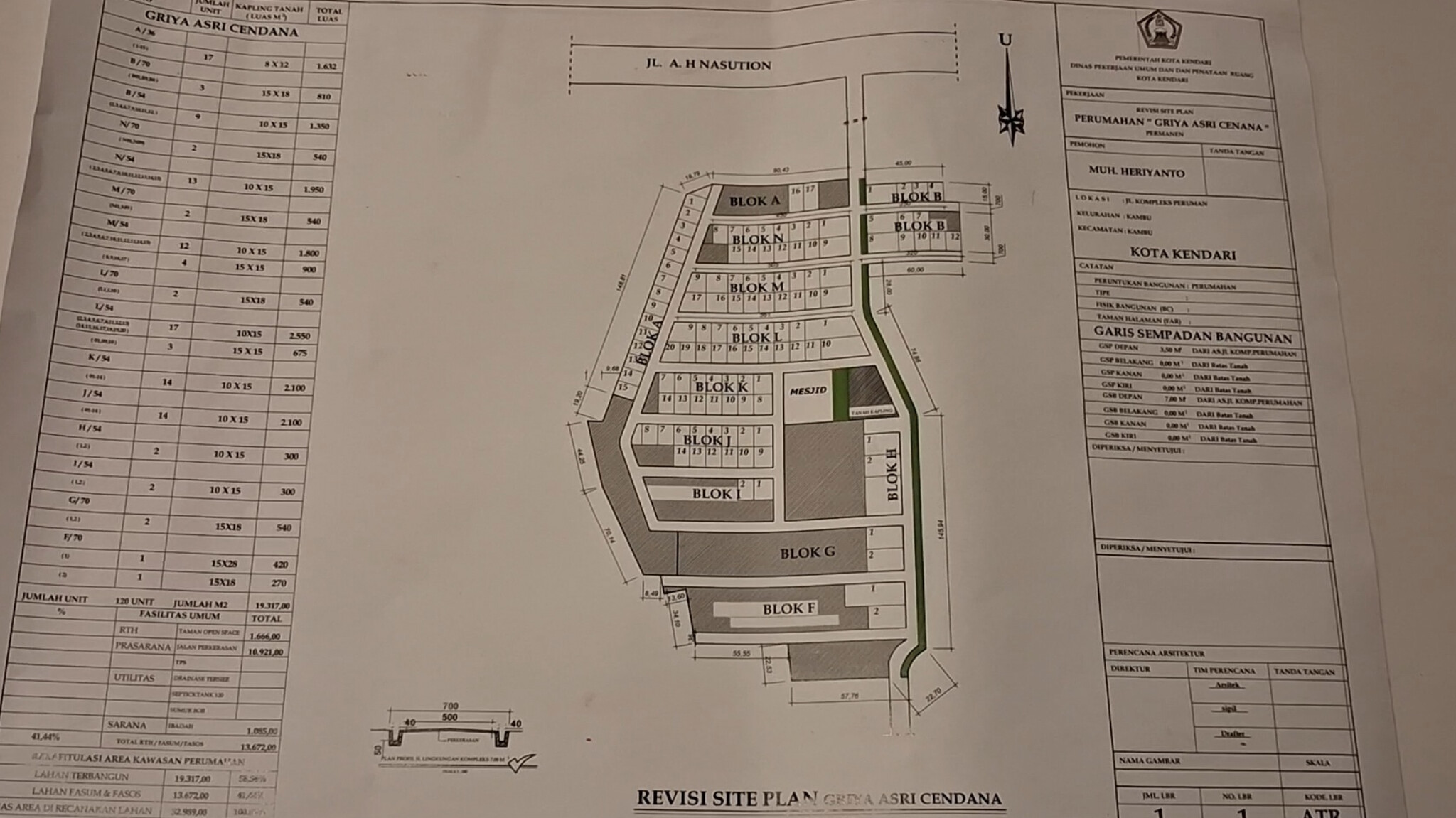
Revisi site plan (tapak jejak) terbaru kawasan perumahan Jl Martandu, Kelurahan Anduonohu, Kecamatan Poasia, Kota Kendari, Sulawesi Tenggara (Sultra) yang belum disahkan. (Foto: Fadli Aksar)

“Karena tidak ada pembangunan perumahan di sisi itu, ahli waris tidak dapat dipaksakan melanjutkan pembangunan perumahan. Maka kami mengajukan revisi site plan,” kata Razak, di Kendari, Senin (19/1/2026).

Terlebih menurut Razak, berdasarkan regulasi penyelenggaraan perumahan, revisi atau perubahan site plan dapat dilakukan.

Di samping itu, berdasarkan regulasi tersebut revisi site plan dapat diajukan karena beberapa hal di antaranya adanya penambahan luas, perubahan bentuk dan luasan kavling, penambahan dan pengurangan bangunan, dan atau perubahan fungsi bangunan.

Razak membeberkan, di areal perumahan Griya Asri Cendana yang terdapat pembangunan rumah warga, kliennya sama sekali tidak melakukan penutupan akses jalan.

Faktanya justru orang tua Herianto, malah mengorbankan dua bangunan rumah untuk akses keluar masuk warga yang menghubungkan Jalan Gelatik dan Martandu.

Selain itu dalam site plan awal, tidak ada gerbang perumahan seperti saat ini. Almarhum HM Sugianto kembali melakukan pembebasan lahan untuk tambahan akses jalan utama pada gerbang tersebut.

“Dua rumah itu disiapkan dalam site plan lama tapi dikorbankan untuk menghubungkan jalan Gelatik dan Martandu. Ditambah pembebasan lahan untuk gerbang. Berdasarkan regulasi, syarat revisi site plan itu terpenuhi,” jelas Razak.

Razak menegaskan, revisi site plan itu penting untuk segera disahkan. Sebab, menyesuaikan kondisi terkini. Nantinya juga kawasan itu akan dilakukan penyerahan ke Pemkot Kendari.

“Jadi penertiban tata ruang menggunakan site plan lama itu merugikan ahli waris. Dalih sempadan jalan di kawasan samping Warkop Universe itu syarat konflik kepentingan,” ujarnya.

Bahkan, tambah Razak, anggapan adanya jalan di kawasan Warkop Universe, lalu dilakukan penertiban tidak didasari informasi utuh dan diduga hasil sabotase yang dilakukan oknum ASN kepada Wali Kota Kendari, Siska Karina Imran.

“Kami duga Wali Kota Kendari tidak menerima informasi secara utuh sehingga melakukan penertiban tata ruang yang tidak benar. Kami minta Pemkot Kendari melakukan kajian dan turun ke lokasi sebelum melakukan peneriban,” pintanya.

Razak juga meminta Pemkot Kendari segera mengesahkan revisi site plan terbaru yang telah diajukan oleh kliennya.

“Berdasarkan regulasi tidak ada alasan Pemkot Kendari menahan pengesahan revisi site plan Perumahan Griya Asri Cendana,” tutupnya.

Editor: Fadli Aksar

Share :

Baca Juga

Pemerintahan

Tingkatkan PAD dari Investor Asing, Imigrasi Kendari Sosialisasi Golden Visa di Konawe

Pemerintahan

Presiden Prabowo Dijadwalkan Resmikan Kampung Nelayan di Desa Sorue Konawe

Pemerintahan

Baru 3 Hari Menjabat, Plt Kadis Kominfo Sultra Ancam Jurnalis Gegara Berita Tambang Wawonii

Pemerintahan

Billboard Ucapan Musprov Kadin Gubernur ASR Tanpa Foto Wagub Sultra Hugua

Pemerintahan

Anggota DPR RI Dapil Sultra : Undang-Undang Kehutanan Berpihak ke Rakyat dan Kelestarian Alam

Pemerintahan

Kapolda Sultra dan Ketua DPRD Kunker ke Bombana, Pastikan Kamtibmas Kondusif Jelang Ramadan

Pemerintahan

Walhi Sebut Bupati Konsel Beri ‘Karpet Merah’ Perusahaan Sawit Ilegal, Petani Dikorbankan

Pemerintahan

Kapolda Sultra Bersama Forkopimda Pantau Keamanan Ibadah Malam Imlek di Kendari